GWに戻って、八重山旅行のことです。
前に書いたように、今回の旅行では、ほとんど曇りで、あまり晴れなかった
のですが、波照間島ではニシ浜で泳いできました。
前回は、あまり沖まで行かなかったので、今回は潮の流れなどを気にしながら、
少し沖まで行ってみました。
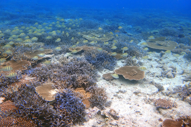
すると、それまで砂地だったのが、どんどんサンゴが増えてきて、かなりの
サンゴの森を見ることが出来ました。
魚も多いです。
写真に撮りきれなかったのですが、種類も豊富です。
もちろん魚もたくさんいました。
(あんまり写ってませんが・・・)
ぽっかり開いた穴がちょっと不気味?(笑)
サンゴの森の向こうは、ストンと深くなっていて、濃い青が広がっていました。
何だか吸い込まれそうで、ちょっと向こうまでは行けませんでした(^_^;)
水に浮いて、陸を見るとこんな感じ。
丁度、沖の色が変わっているあたりです。
今回は、シュノーケルベストを着けた妻を紐で引っ張りながら、ここまで泳ぎました。
結構いいトレーニングになったような(笑)
ちょっとぶれてますが、動画を貼っておきますね。








